24 April 2026
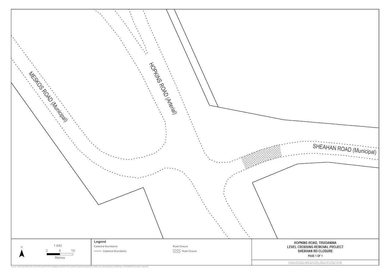
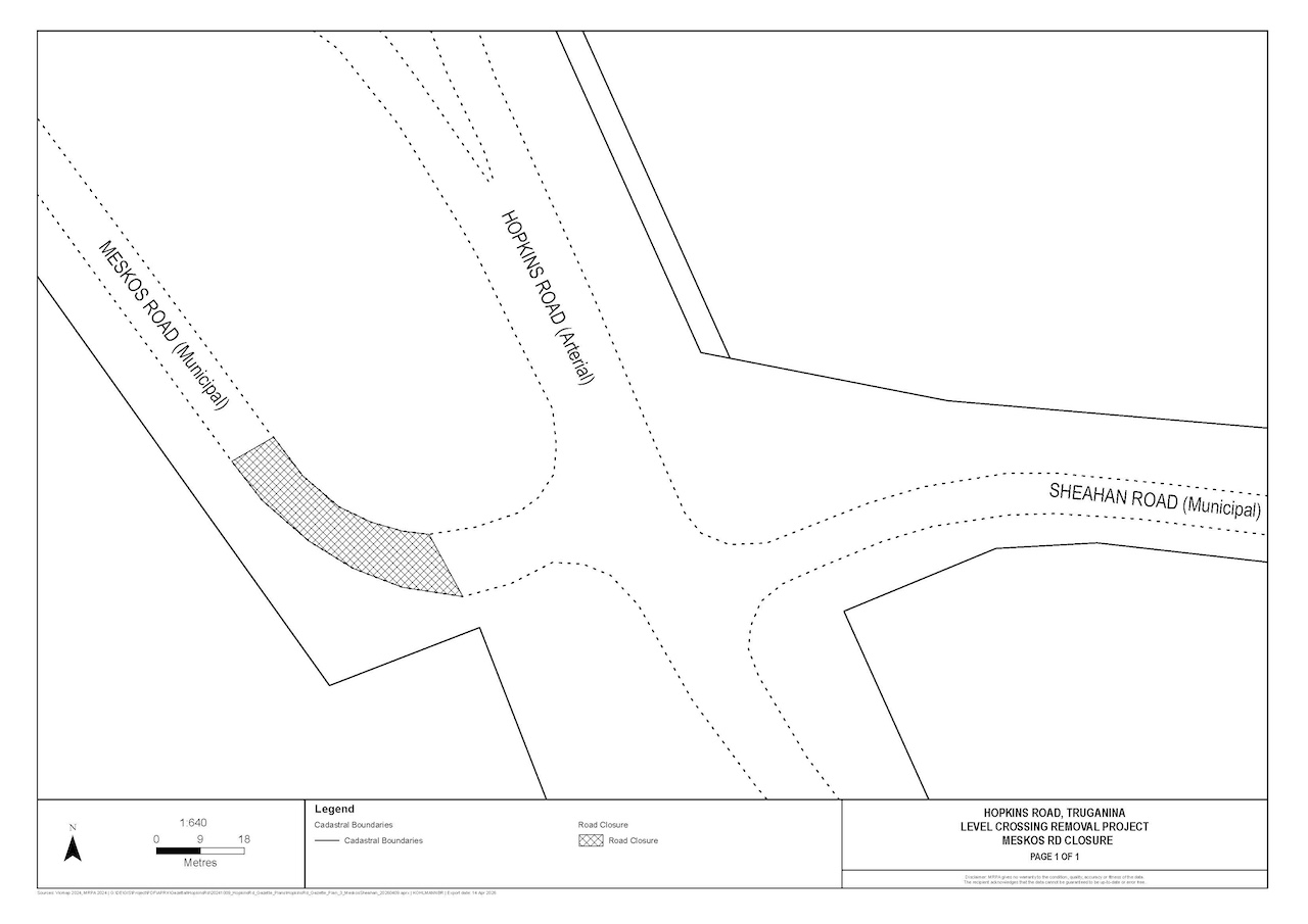
The below notice refers to the road closure on Meskos and Sheahan roads to facilitate works on the Hopkins Road, Truganina Level Crossing Removal Project under section186D(1)(d) of the Major Transport Projects Facilitation Act 2009.
For more information about specific disruptions in the area, please refer to the latest works notice and disruption information on the Melton level crossing removal page.
Major Transport Projects Facilitation Act 2009
(Section 186D(1)(d))
NOTICE OF CLOSURE OF PART OF A ROAD TO TRAFFIC
Under section 186D(1)(d) of the Major Transport Projects Facilitation Act 2009 (MTPF Act), I, Travis Edmonds, Program Director, VIDA Rail, as delegate of the project authority for the Hopkins Road, Truganina Level Crossing Removal Project (Project), determine that part of Meskos Road, Truganina and part of Sheahan Road, Truganina, as more particularly shown cross hatched on the attached plans, shall be closed to traffic, for the purposes of, or any purpose connected with the Project.
The closure of the parts of road to traffic, as shown on the attached plans, shall commence on 28 April 2026.

Dated: 21/04/2026
Travis Edmonds
Program Director and delegate of the Secretary to the Department of Transport and Planning under the MTPF Act.